|
返回首页
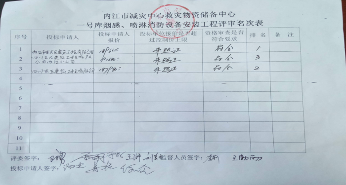
内江市减灾中心救灾物资储备中心一号库烟感、喷淋消防设备安装工程评审名次表
发布时间: 2017-10-26
【字体:
大
中
小
】
来源:市民政局
【
打印本页
】
【
关闭窗口
】
附件:
20171026151314142459.png